Sedona MLS Listings Search
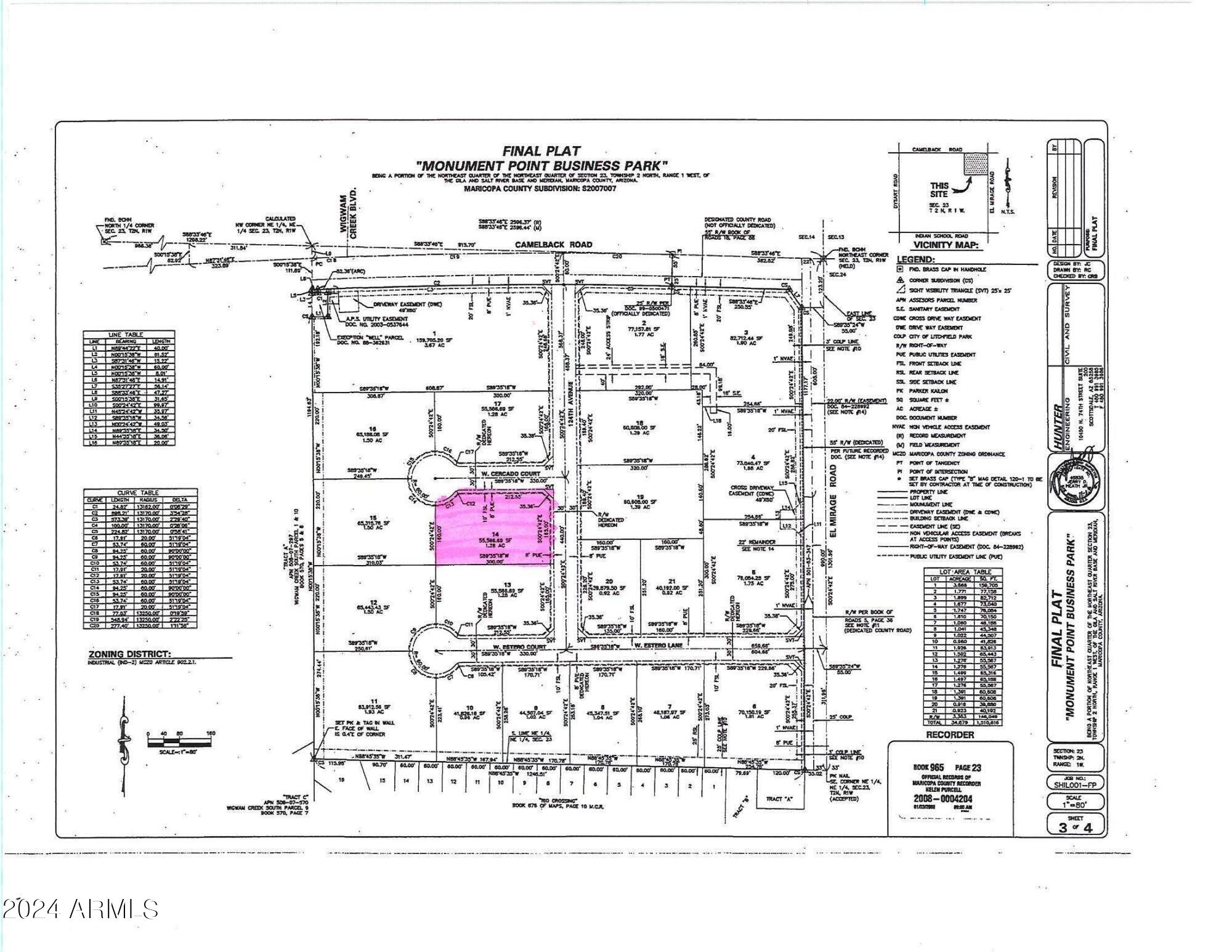
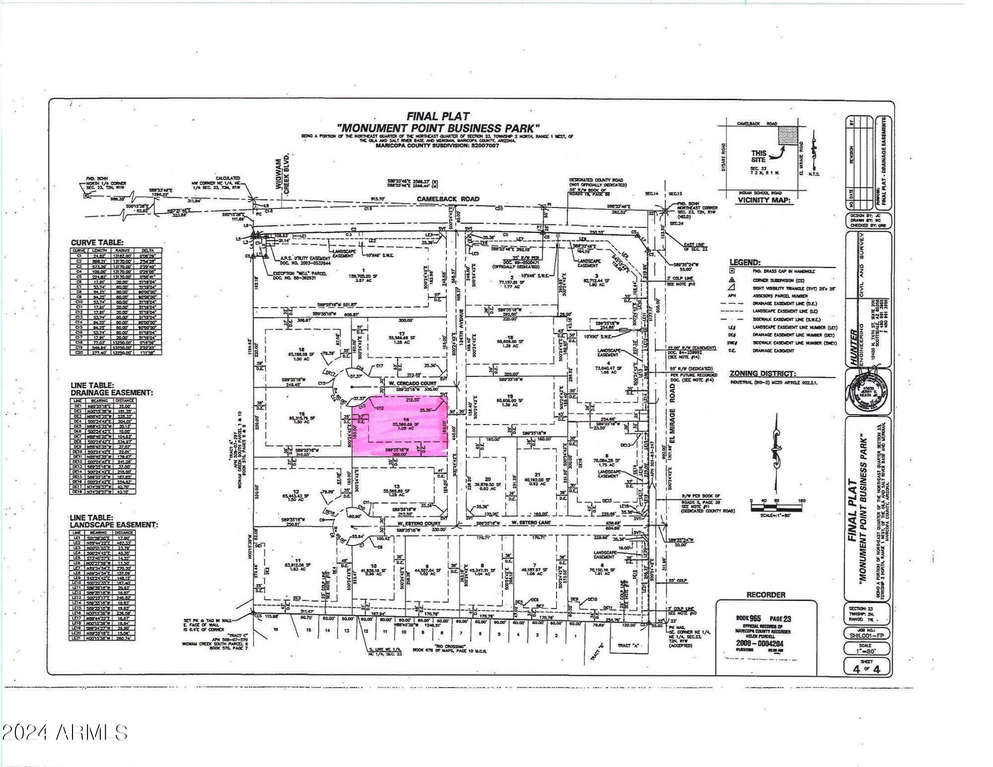
0 W Camelback Rd & N El Mirage Road 14Litchfield Park, AZ 85340
Due to the health concerns created by Coronavirus we are offering personal 1-1 online video walkthough tours where possible.




Monument Point Business Park is nestled in the vibrant city of Litchfield Park, Arizona. Litchfield Park is a premier destination for businesses seeking a strategic and dynamic location. The 1.28 acres of land boasts a picturesque setting against the backdrop of the White Tank Mountains. The land is zoned industrial with potential for retail or commercial development opportunities. The rapidly growing West Valley is strategically located near major transportation arteries. Monument Point Business Park offers unparalleled accessibility, making it a prime hub for commerce and connectivity. Whether by road, rail, or air, businesses here enjoy seamless access to regional and international markets.
| a month ago | Listing updated with changes from the MLS® | |
| 2 months ago | Price changed to $549,999 | |
| 2 years ago | Status changed to Active | |
| 2 years ago | Listing first seen on site |
All information should be verified by the recipient and none is guaranteed as accurate by ARMLS. Copyright 2026 Arizona Regional Multiple Listing Service, Inc. All rights reserved.
Last checked: 2026-03-07 06:53 AM UTC





















Did you know? You can invite friends and family to your search. They can join your search, rate and discuss listings with you.